Hurikán, tajfun i cyklon mají stejný původ. Jejich příčinou je tropická cyklona, tedy oblast nízkého tlaku vzduchu, která, jak už název napovídá, vzniká na rovníku nebo v jeho blízkosti. Rozdíl je v tom, co se s cyklonou stane dál.
Vznik tropických cyklon je přirozený jev. Dochází k němu tam, kde teplota oceánu u hladiny dosahuje 26 stupňů Celsia nebo více. K rovníku přichází od jihu i od severu studenější vzduch, otepluje se, stoupá, a protože navíc obsahuje množství vody, způsobuje silné bouře, které trvají i několik dnů.
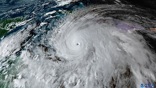
Létaly střechy, padaly stromy. Hurikán Melissa po Jamajce dorazil na Kubu![]() |
Cyklon a cyklona
|
Jakmile se taková cyklona dostane za pátou rovnoběžku severní či jižní šířky, uplatňuje je na ní Coriolisova síla – čili setrvačnost, která díky rotaci Země způsobí, že na sever od rovníku se tlaková níže otáčí doleva, na jih doprava. „Zatáčka“ může pokračovat do uzavřené kružnice a celý systém pak začne rotovat. V jeho středu klesá tlak a cyklona nabývá na rychlosti. „Když maximální rychlost větru v systému dosáhne alespoň 63 km/h, hovoříme o tropické bouři. V tomto okamžiku je bouři obvykle přiděleno jméno podle předem schváleného seznamu,“ uvádí meteorolog David Rýva.
Z tropické cyklony je pak tropická bouře. A pokud rychlost větru stále roste, přichází další milník: 119 km/h. Od této rychlosti proudícího vzduchu mluvíme o hurikánu, tajfunu nebo cyklonu. Jaké z těchto pojmenování vybrat, závisí na tom, kde se bouře nachází.
- Hurikány, jako je i ten současný v Karibiku, vznikají nad Atlantským oceánem a severovýchodním Tichým oceánem.
- Tajfuny se formují v severozápadním Pacifiku a jsou postrachem Filipín, kam pravidelně přinášejí největší zkázu.
- Cyklony mají původ v jižním Tichém oceánu a v Indickém oceánu.
Různé názvy, stejně ničivé důsledky
Ať už je bouře s rychlostí proudění nad 119 km/h nazvána jakkoli, průběh a následky bývají obdobné. A stejná je také klasifikace podle síly větru. Dělí se na pět stupňů, přičemž pátý je nejhorší. Rychlost při něm přesahuje 252 km/h. Šestý stupeň neexistuje – ne proto, že by síla větru nemohla být ještě větší, ale proto, že škody jsou tak katastrofální, že další zvýšení stupně by nemělo pro předpovědi a varování obyvatel žádný smysl.
Hurikán Patricia se změnil na tropickou bouři. Mexiku hrozí záplavy![]() |
Jak připomíná Rýva, hurikán Patricia, který 20. až 24. října 2015 devastoval západní pobřeží Mexika, daleko přesáhl hranici, od níž začíná pátý stupeň. „Bezesporu šlo o jednu z nejsilnějších tropických cyklon za celou dobu pozorování. Rychlost větru dosáhla nad oceánem podle oficiálních měření amerického Národního centra pro hurikány v minutovém průměru až 325 km/h a v nárazech údajně až přes 400 km/h.“
11. září 2017 |
Vzhledem k místu původu a trasám, kudy a kam se šíří, se mezi sebou hurikány, tajfuny a cyklony liší často i obdobím roku, kdy udeří. Hurikány vznikají od června do listopadu a vrchol sezony mají v září. Tajfuny jsou záležitostí celého roku, nejvíce ale hrozí od července do října. Cyklony mají dvě období: od dubna do června a druhé od září do prosince.
Jak je vidět, konec léta a podzim patří mezi období s nejčastějším výskytem těchto meteorologických jevů.
Hrozí hurikány v Česku?
I když hurikány mají původ v okolí rovníku, neznamená to, že by nedokázaly proniknout do blízkosti Evropy. Stalo se to například v roce 2005, kdy do Španělska dorazil hurikán Vince. Nutno dodat, že sílu hurikánu měl u Kanárských ostrovů a ke španělské pevnině dorazil už jako tropická deprese (bouře s rychlostí proudění vzduchu do 17 m/s) a přinesl nebývalé srážky.
Hurikánům mohou být v Evropě podobné tzv. medikány, cyklonální bouře vznikající nad Středozemním mořem na podzim či v zimě. I když jsou výrazně menší než „pravé“ hurikány s původem u rovníku, proudění v nich může dosahovat podobných rychlostí.
11. března 2025 |
V Česku se ale s takovými jevy nesetkáme. „Občas nás zasáhnou zimní větrné bouře spojené s mimotropickými cyklonami, které se však v plné síle projevují spíše v přímořských oblastech západní Evropy,“ uvádí Rýva.
Nezvyklý hurikán Janos zpustošil část Řecka. Má prozatím dvě oběti![]() |
Obyvatelé české kotliny se spíše mohou setkat se vzdušnými víry značně menšího rozsahu – s tornády. Ani jejich síla nemusí být zanedbatelná, jak ukázal rok 2021, kdy se tornádo prohnalo Moravou.
Dalším „vzdáleným bratrancem“ hurikánu v Česku je jev zvaný derecho, silná vichřice, při které ale vzduch proudí jedním směrem. „Jde o rozsáhlou větrnou bouři, která vzniká, když se několik bouřek spojí do jedné rychle postupující linie. Jako by si podaly ruce, běžely vedle sebe a hodně z nich fičelo,“ popisuje Miloslav Staněk z Ústavu fyziky atmosféry AV ČR.
V Česku byl poslední takový zaznamenaný jev v létě 2023. Rozlišit derecho od náhodného shluku bouřek lze až zpětně, kdy odborníci vyhodnotí získaná data. Zpětně tak označení derecho získal například jev, který postihl v roce 2007 zejména Šumavu a který si lidé pamatují spíše pod názvem orkán Kyrill.


























